Поверхность земного шара нельзя изобразить на плоскости без искажений. Только на шарообразном глобусе можно сохранить подобие и пропорциональность размеров всех частей земной поверхности. Но глобусы неудобны для пользования, и масштаб их обычно не бывает крупным, например, при масштабе 1 км в 1 см (1 : 100 000) диаметр глобуса был бы равен 127.4 м.
Существуют различные способы изображения земной поверхности на плоскости. Все они называются картографическими проекциями. Некоторые из них получаются действительно проектированием земной поверхности на плоскость лучами, исходящими из постоянной точки зрения, расположенной вне, на или внутри земного шара, другие имеют иной геометрический смысл. Каждый из этих способов указывает вполне определенный метод изображения земной поверхности на плоскости и учет неизбежных искажений.
Впрочем, если взять обычный школьный глобус 1 : 50 000 000 масштаба (диаметр которого около 25 см) и приколоть к его поверхности небольшой листок бумаги размером в 1 см2, то окажется, что он без складок почти полностью совпадает с поверхностью глобуса. Это показывает, что на небольших площадях мы можем считать земную поверхность плоской и изображать ее на бумаге с сохранением геометрического подобия фигур. Такие изображения часто называются планами. Применение проекций теряет здесь свое значение, так как даже в разных, но надлежаще выбранных, проекциях изображения очень малых участков земного шара почти не различаются между собой.
Географические координаты
При рассмотрении картографических проекций изображение на плоскости земной поверхности практически заменяется изображением на плоскости географической сетки меридианов и параллелей, которая на карте получает название картографической сетки. Это допустимо потому, что, построив на карте меридианы и параллели, мы можем нанести любую точку по ее географическим координатам. Поэтому в последующем изложении речь идет о сетке меридианов и параллелей на «математической поверхности» земли, за которую мы принимаем поверхность океанов, мысленно продолжаемую под материками, и об изображении этой сетки на плоскости. Для некоторых проекций картографические сетки строятся геометрическим путем, но чаще используют другой прием. Сперва вычисляют по имеющимся формулам выбранной проекции плоские прямоугольные координаты точек пересечений меридианов и параллелей, затем по координатам накладывают эти точки на бумагу и далее соединяют их плавными кривыми линиями, изображающими меридианы и параллели.
Каждому условному изображению земной поверхности на плоскости, т. е. каждой проекции соответствует вполне определенный вид картографической сетки и вполне определенные допускаемые искажения. Различают искажения длин, площадей и углов.
Известно, что на земной поверхности все меридианы имеют одинаковую длину; также равны между собой отрезки одной и той же параллели между соседними меридианами. Но только средний меридиан изображается прямой линией; остальные меридианы — кривые линии, длина которых возрастает по мере удаления от среднего меридиана. В той же степени искажаются и параллели — отрезки их между соседними меридианами увеличиваются с удалением от среднего меридиана.
Существуют другие проекции, которые не искажают длины вдоль некоторых, вполне определенных, направлений. Например, равнопромежуточная цилиндрическая. На ней меридианы переданы без искажений, так как длины меридианов на сетке равны длинам меридианов в натуре, разумеется, с уменьшением до масштаба карты. Но длины параллелей в этой проекции искажены. На сетке отрезки параллелей между двумя соседними меридианами остаются постоянными на любой широте, тогда как в натуре они уменьшаются по мере приближения к полюсам.
Выражение «искажение длин» означает, что длины передаются на одной и той же карте с различным уменьшением, т. е. в различных масштабах в разных местах карты. Другими словами, масштаб на одной и той же карте не представляет собой постоянной величины; он может меняться не только в различных точках, но даже в одной точке по различным направлениям.
Масштаб, который подписывается на карте, называется главным, он определяет отношение длин на карте к соответствующим длинам в натуре лишь в некоторых, определенных для каждой проекции, частях карты. Масштабы в остальных ее частях больше или меньше главного и называются частными.
Такая проекция, которая передавала бы без искажений любые длины по любому направлению, невозможна, так как она сохраняла бы подобие и пропорциональность всех частей земной поверхности, что может иметь место только на глобусе.
Искажения площадей можно проследить на тех же рисунках. Поверхности клеток, расположенных между двумя соседними параллелями, имеют в натуре одинаковую величину, но они заметно возрастают к востоку и западу от среднего меридиана. Поверхности клеток, ограниченных двумя меридианами, в натуре уменьшаются к северу и югу от экватора; но все они имеют одинаковую величину.
Однако существуют многочисленные проекции, на которых величины поверхностей передаются без искажений, все площади на таких картах пропорциональны величинам соответствующих поверхностей в натуре, хотя подобие фигур нарушено. Такие проекции называются равновеликими, равноплощадными или эквивалентными.
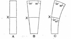
Изображение полосы местности вдоль меридиана в различных равноугольных проекциях
Меридианы и параллели, образующие между собой в натуре прямые углы, сохраняют перпендикулярность только вдоль среднего меридиана. Наоборот, картографическая сетка свободна от искажений углов. Такие проекции, которые сохраняют величину углов, называются равноугольными или конформными. Вокруг каждой точки равноугольной проекции на бесконечно малых расстояниях масштаб можно считать постоянным.
Существует множество проекций, которые не являются ни равновеликими, ни равноугольными (их называют произвольными), но нет такой, которая совмещала бы в себе оба качества.
___________
С основными принципами диагностики, профилактики и лечения такого серьезного заболевания суставов, как остеоартроз (или артроз), вы можете ознакомиться на сайте spina.net.ua, который посвящен заболеваниям позвоночника.

